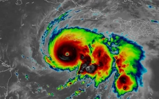
Con vientos de hasta 260 km/h y lluvias de 1 metro, Melissa avanza lentamente dejando ya víctimas en Haití y República Dominicana. Autoridades piden buscar refugio ante el riesgo inminente.
Ingresá su correo de Email para recuperar contraseña
Ingresá su DNI por unica vez.
¿Querés recibir notificaciones de alertas?